毛豆這種作物跟番茄是水果或是蔬菜的爭議有點像。這種作物在青嫩的時候採收,被歸類是蔬菜;放老成了大豆之後再收成,又被歸類成雜糧。
對現代的家庭而言,毛豆是有點那麼陌生的產品。我們的飲食習慣裡,除非是去餐廳吃小菜時會有調味的毛豆莢,或是北方麵食館偶有毛豆仁涼拌豆乾與紅蘿蔔丁的開胃菜,家中的餐桌上很少會見到毛豆。這段時間問了身邊的朋友們,大家對餐桌上的毛豆也都是有印象,可是很少吃到。
接著我的受訪者們會生怯怯地問我:「毛豆是不是黃豆啊?」聽完毛豆放老變作黃豆收成的因果故事後,大家都會安下心來,覺得自己模糊的認知是正確的。確實,在台灣我們常喝大豆磨的豆漿、吃大豆凝的豆腐,但是新嫩的大豆卻很少與翠綠又有點清甜的毛豆畫上等號。
近年毛豆輸出國外有三萬噸以上,被稱作「綠金」
這樣子現象多少與毛豆的產季有些關係。當季節進入驚蟄,一些地區傳統上會吃用鹽水泡過,大火爆炒的黃豆。當然,要炒黃豆前得先有毛豆才行。
毛豆是季節時蔬,每年的二到四月是產季,過了這個檔期就得等到九月才有鮮毛豆可採,也只有這個時期市場上才能看到新鮮剝好的毛豆仁。所以說這種季節時蔬要買到也真得碰碰運氣。台灣的毛豆主要產地在中南部,彰化、雲林、台南、嘉義、高雄、屏東都是產區。
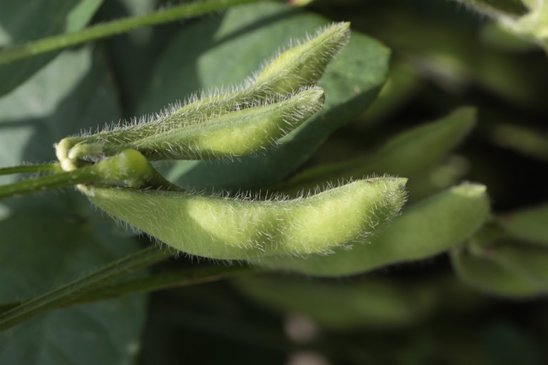
這個作物全株有百分之八十五以上的鮮筴果,會在八分飽滿時被採收。此時的豆莢翠綠,外有茸毛,因此稱作毛豆。除了完全的蛋白質、必須胺基酸、不飽和脂肪酸及醣類與纖維外,毛豆亦含有豐富的異黃酮類與皂素。而且沸沸揚揚的基改黃豆問題,由於是台灣本土生產,毛豆沒有此一隱憂,是營養與食安各方面都完勝的食物。
台灣一九七○年代開始試種毛豆作為外銷,一九八○年代開始大量生產。國內早期以毛豆仁供貨蔬果市場,國外則以連豆莢的形式輸出。近年約有近七萬噸的毛豆生產量,其中輸出國外有三萬噸以上,九成以上輸入日本,產值最高時達二十億,被稱作是綠金。

坊間食譜很少出現,以毛豆為主的料理
很可惜的是,這麼好的食物在我們的生活中毛豆總是被輕輕帶過,連坊間的食譜都很少出現以毛豆為主的料理,多半被當成是配色的蔬菜。像是八寶辣醬,毛豆炒蝦仁之類,淪為可有可無的存在。
各家文學作品中提到毛豆的也不多。讓我最有印象的是宇文正在《庖廚食光》中提到的毛豆:陶淵明的「種豆南山下」,種的到底是什麼豆?……初讀〈歸田園居〉,可能因為發音、文字的美感,我想像的是豌豆,自從長大在啤酒屋吃到好吃的毛豆之後,忍不住幻想,嗜酒的陶淵明,會不會已經發現毛豆連莢加點鹽、八角、黑胡椒汆燙之後非常非常下酒?他一定沒發現,不然怎捨得放任「草盛豆苗稀」呢,怎麼樣也要想辦法種出滿山遍野的毛豆吧!
由於一九八○年代的毛豆量產,毛豆仁也進入我家餐桌。小時候父親身為職業軍人常不在家,因此在我上小學前的幼年時光是與外婆外公還有舅舅阿姨們渡過的。
外公是高雄硫酸錏廠技師,因此那個隱身在高雄二聖路愛群國小對面一排二層樓的員工宿舍,幾乎占滿了我每個孩提時的回憶場景。在外婆家吃飯是很熱鬧的,少時五、六人,多時十幾人圍在客廳吃飯,每天都看到外婆在院子加蓋的廚房裡忙進忙出。餐桌上每餐五六道菜加一鍋好湯是一定有的。
我小時候挑食,每天每餐都是香菇雞湯或蘿蔔排骨湯泡飯吃。蔬菜只吃菠菜、高麗菜、空心菜,其他一律不吃。魚只吃沒有沾到醬油汁的白肉,任何帶肥帶筋的肉都不碰,因此長得又乾又瘦。想想也對,那時候的口味取向根本減肥餐,而毛豆蒸肉就是外婆研發的減肥餐之一。
那時候台灣社會是剛開始流行減肥,我的阿姨也搭上這股流行。菜單有像是全麥土司兩片配水煮蛋之類的。到了中午,外婆就會順便把翠綠的毛豆與里肌肉加點薑與酒放在飯上蒸,而那道菜就是阿姨中午的主餐。
當時黏在外婆身邊的我,理所當然是起鍋後第一個嚐味道的。當蒸好後鍋蓋掀起來的那個瞬間,酒氣帶著薑與肉的葷香衝出來,嚐一口毛豆的軟嫩,唉阿〜那鮮美的味道深深印在腦海裡,至今二十多年還是忘不掉。現在我人長大了,外婆也不在了,但是每當聞到毛豆蒸肉的香氣時,就會莫名懷念起那段跟在外婆身邊的時光。那是豐盛的童年,鹹鹹香香。

毛豆蒸肉
食材:
梅花肉片200g、毛豆仁200g、薑片4~5薄片、米酒兩杯60 ccX2、油1小匙、鹽適量
程序:
1.豬梅花肉片以鹽、酒、油抓過備用。
2.毛豆洗清備用。
3.鍋中不放油以中火微煎肉片,倒入第一杯米酒後上鍋蓋,待酒揮發。
4.煎好的肉後放入蒸鍋中鋪底。煎肉鍋倒入毛豆拌炒出豆子香氣,加少量水將鍋底精華溶煮至滾沸。
5.毛豆與湯汁及薑片倒入盛肉的蒸鍋中,倒入第二杯酒,
6.蒸鍋置入電鍋中,外鍋一碗水(300c.c.)蒸熟即可。

後記:
毛豆蒸肉如果沒有立刻食用完,可以加入一小片豬皮或一隻雞腳再燉煮一次後冷藏。冰過後的毛豆蒸肉直接切片食用,是很美味的冷盤。
龐中人,在台南長大的高雄孩子,國立中興大學歷史系博士班。考究歷史而漫步全台灣的足跡不只發掘說不完的故事,在穿梭街坊鄉鎮的小徑時,也透過在地的料理連結人與土地的情感。有感世人只專注美食的味道而忽略了食材的價值,嘗試用自己的文字讓人們更深認識食材的美好。
本文轉載自《好農雜誌》廣告支持 https://goo.gl/rpb1qm
更多精彩內容,訂閱好農雜誌 https://goo.gl/MDBx5t